把握好天氣!明(14)日各地大致維持晴朗穩定,不過,粉專「天氣風險 WeatherRisk」主播賴忠瑋提醒,從週三(15日)開始,將有2波微弱的東北季風報到。
財富管理
04-14
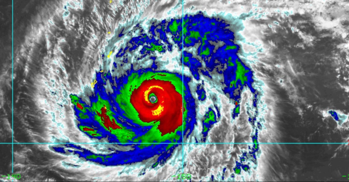
辛樂克好大一顆!週三鋒面報到 降雨熱區曝光04-14
市況不再!運動用品店熄燈+1 50年名店出清中體育用品店過去經常出現在夜市和學校附近,但這19年來有將近2成收攤了,其中一間開了將近50年的老字號店家,搬了家省租金,還是撐不下去,決定真的熄燈!
京都府南丹市11歲男童失蹤案有新進展,警方發現疑似遺體,書包與鞋子陸續尋獲,調查行蹤軌跡中。
04-14
中東影響原料供應 TOTO停接系統衛浴訂單日本衛浴製造商TOTO已告知批發業者,從今天起停止接收系統衛浴的新訂單。
潑水節吸引各國觀光客前往共襄盛舉,不過泰國的交通事故卻持續攀升,從10日至12日為期3天的宣傳活動期間,共發生515起交通事故,造成486人受傷,95人死亡。
04-12
默爾餐廳連3月「延遲發薪」!前主管:營運出狀況連鎖義大利餐廳「默爾」在百貨公司有許多分店,卻有離職主管指控,集團已經多次延遲發薪,自己6萬元的薪水到現在都還沒領到,而背後原因疑似就是展店過快、財務出狀況。
04-12
另一座護國神山?謝金河點名1公司躍台股第二大市值隨著人工智慧產業快速發展,帶動相關供應鏈全面成長,財信傳媒董事長謝金河近日指出,台灣產業版圖正悄然出現變化,其中1家公司表現尤其亮眼,股價一年內大幅上漲。
04-12
鑄件大廠「未交財報」面臨下市危機 重訊回應了永冠-KY因未如期繳交財報自4月7日停牌,若6個月內未補正,最快11月18日終止上市,債務壓力持續。
04-12
國發基金啟動退場機制 申報擬出售聯合再生持股國發基金投資「綠能國家隊」聯合再生引發爭議,外界關注退場規劃。根據公告,國發基金申報將出售聯合再生持股,共計420萬1476股。
美國與伊朗結束長達21小時談判後,於台北時間今(12日)早宣布未能達成協議,同時間美軍2艘驅逐艦穿越荷莫茲海峽,引發國際對於中東戰火再啟憂慮。美國總統川普(Do












